El huracán 'Laura' alcanzó este miércoles la categoría 4, extremadamente peligroso, mientras se acerca a Texas y Luisiana. Las autoridades aconsejaron a las personas en estas zonas costeras que mejor salgan de la zona.
Un huracán de categoría 4 puede provocar daños tan catastróficos que los cortes de electricidad podrían durar semanas y posiblemente meses. Las partes afectadas podrían quedar inhabitables por semanas o meses, de acuerdo con meteorólogos. Eso planteará un nuevo desafío a los equipos de socorro para gobiernos desde federales a locales que ya pasan problemas para hacer frente a la pandemia de coronavirus.
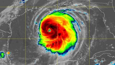
El miércoles al mediodía, 'Laura' tenía vientos máximos sostenidos de 205 kilómetros por hora (125 millas) y estaba a unos 320 kilómetros (200 millas) al sureste de Lake Charles, Luisiana, moviéndose hacia el noroeste a 26 km/h (16 mph). Se esperan vientos máximos de 233 km/h (145 mph) antes de que el ojo del huracán toque tierra, haciendo que el agua de mar se adentre en tierra firme sobre una zona de más de 724 kilómetros (450 millas) de largo en costa de Estados Unidos, desde Texas hasta Mississippi.
El meteoro ha tenido una intensificación notable “y no hay indicios de que vaya a detenerse pronto” mientras avanza sobre las cálidas aguas del centro del Golfo de México”, explicó el Centro Nacional de Huracanes (NHC, por sus siglas en inglés).
“Algunas zonas, cuando se despierten el jueves por la mañana, no van a creer lo que pasó”, pronosticó el especialista en huracanes Stacy Stewart.
“Podríamos ver alturas de marejadas ciclónicas de más de 15 pies (4,5 metros) en algunas áreas”, dijo Stewart. “Lo que no sea derribado por el viento podría ser derribado fácilmente por las crecientes aguas del océano que avancen tierra adentro”.
“Sigan el consejo de las autoridades locales. Si les dicen que se vayan, ¡váyanse! Su vida depende de ello hoy”, dijo Joel Cline, coordinador del programa tropical del Servicio Nacional de Meteorología. “Es un día grave y deben escucharlo”.
Se emitieron alertas por huracán desde San Luis Pass, Texas, hasta Intracoastal City, Luisiana. También había advertencias por marejada ciclónica desde Port Arthur, Texas, hasta la desembocadura del río Mississippi.
En la evacuación más grande en Estados Unidos durante la pandemia de coronavirus, más de medio millón de personas recibieron el martes la orden de desalojar la costa del Golfo de México cerca del límite entre los estados de Texas y Luisiana antes de la llegada de Laura, incluyendo las ciudades texanas de Beaumont, Galveston y Port Arthur, y las zonas bajas de Calcasieu y Cameron, en el suroeste de Luisiana, donde los meteorólogos dijeron que la marejada ciclónica coronada por olas podría sumergir comunidades enteras.
“Cameron Parish será parte del Golfo de México durante un par de días, según este pronóstico”, advirtió dijo Donald Jones, meteorólogo del Servicio Nacional de Meteorología en Lake Charles, Luisiana, que está cerca de la trayectoria que se espera que siga el huracán. “Esperamos cortes de electricidad generalizados, árboles derribados. Habrá daños en casas y negocios”, agregó.
Las autoridades instaron a la gente a quedarse con familiares o en habitaciones de hotel para evitar la propagación del COVID-19. Los autobuses contaban con equipos de protección y desinfectante, y trasladarán a menos pasajeros para mantener la distancia social, señalaron las autoridades de Texas.
El huracán supone también una amenaza para un importante centro energético del país. De acuerdo con el gobierno, el 84 por ciento de la producción de petróleo del Golfo y cerca del 61 por ciento de la de has natural se pararon. Cerca de 300 plataformas han sido desalojadas.
'Laura' pasó sobre Cuba luego de causar la muerte de 20 personas en Haití y de otras tres en República Dominicana, donde provocó cortes de electricidad y fuertes inundaciones.
